
Las autoridades de Bangladesh y Birmania han ordenado la evacuación de cientos de miles de personas ante la llegada del ciclón 'Mocha' este próximo domingo. Este potente sistema tormentoso amenaza particularmente a casi un millón de refugiados rohingyas en el campo de acogida bangladeshí de Cox's Bazar, uno de los más superpoblados del mundo.
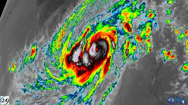
'Mocha' ha estado ganando fuerza durante las últimas horas en bahía de Bengala y tocará tierra precisamente en las inmediaciones de Cox's Bazar. Este ciclón vendrá acompañado de una tempestad de vientos de entre 180 y 190 kilómetros por hora y subidas de hasta dos metros y medio del nivel del agua, con el consiguiente riesgo para los refugiados del campamento. Además, se encuentra en una depresión por debajo del nivel del mar, por lo que quedará muy desprotegido ante cualquier inundación o corrimiento de tierra.
Más de medio millón de personas en Bangladesh ya han recibido orden de resguardarse de la llegada del ciclón, según estimaciones del director general del Departamento para la Gestión de Desastres del país, Mijanur Rahman. Cox's Bazar es un objetivo prioritario, en especial la pequeña isla de Saint Martin, así como Chattogram, donde las autoridades temen "grandes daños" materiales.
Por el momento, se han preparado más de 1.500 centros de acogida con el objetivo de evacuar a 500.000 personas en los dos municipios. "Nos estamos enfocando en los esfuerzos para garantizar una alimentación adecuada, un refugio seguro y cuidados especiales para mujeres, niños y ancianos", ha indicado Rahman.
Las autoridades militares de Birmania también han empezado sus preparativos de evacuación, con la tragedia en mente del ciclón 'Nargis', el peor desastre natural de la historia reciente del país, que dejó más de 140.000 muertos y 2,4 millones de afectados en 2008.
El caso de Birmania es especialmente grave dado que el país se encuentra en situación de conflicto armado entre el Ejército y la resistencia desde el golpe de Estado militar de febrero de 2021. Además, el 'Mocha' va a afectar al estado de Rajine, la cuna de los rohingyas, quienes protagonizaron en 2017 un éxodo a Bangladesh para escapar precisamente del Ejército birmano y que ahora son hogar de seis millones de personas en situación de vulnerabilidad.
Tags:
Categoría:
Newsletter
Entérate de las últimas noticias cómodamente desde tu mail.